CDU Ochtrup beantragt Mittelinsel am Nienborger Damm

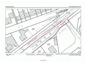
Nach Gesprächen mit den Anwohnern vor Ort am Kreungsbereich Nienborger Damm, Dietrich-Bonhoeffer-Straße und Sandkuhle sieht die CDU Ochtrup an dieser Stelle eine Mittelinsel mit einseitiger Fahrbahnverschwenkung als verkehrlich geeignetere Maßnahme an, um die Geschwindigkeit des einfahrenden Verkehrsstrom in Richtung Bahnhof ohne übermäßigen Verkehrslärm zu reduzieren.

Durch die Fahrbahnverschwenkung wird die Geschwindigkeit des einfahrenden Verkehrs reduziert, während die Ausfahrt in Richtung B 54 ohne Verschwenkung keine zusätzliche Lärmentwicklung durch Brems- und Beschleunigungsvorgänge verursacht. Der gesamte Planungsbereich liegt innerhalb der Ortsdurchfahrt (50 km – Zone). Mit dem Bau einer Mittelinsel mit Querungsmöglichkeiten für den Rad– und Fußgängerverkehr wird gleichzeitig eine gesicherte Querungshilfe für die Anwohner aus der Sandkuhle in Richtung Bahnhof über den südlichen Radweg entlang des Nienborger Dammes geschaffen.

Die CDU Fraktion stellt daher zur kommenden Ratssitzung am 26.02.2015 folgenden Antrag:

  1. Bau einer Mittelinsel mit einseitiger Fahrbahnverschwenkung anstatt des Kreisverkehrs,
  2. Erneuerung der Fahrbahn bis mindestens zur Fasanenstraße, um hier für den LKW Verkehr eine Lärmminderung zu erzielen,
  3. Beidseitiger Ausbau des Radweges von der Bonhoeffer Str. und Sandkuhle bis zur Einmündung Spinnereistr. bzw. Einmündung Nienborger Damm in Richtung Bahnhof,
  4. Schaffung einer kurzen Linksabbiegerspur auf dem Nienborger Damm für die Einfahrt in die Dietrich-Bonhoeffer-Straße,
  5. Vorziehen des Ortschilds am Nienborger Damm Stadtauswärts in Höhe des Brückenbauwerks, um hier auch schon eine Geschwindigkeitsreduzierung mit Lärmminderung zu erreichen,
  6. Durchführung einer Lärmbelastungsprüfung zeitnah nach Abschluss der Baumaßnahme (wie Herbst 2013),
  7. Durchführung einer Anwohnerbeteiligung vor Beginn der Maßnahme und
  8. Beibehaltung der Ampelanlage in Höhe der Fasanenstraße.

Ziel des Antrags ist der sinnvolle Einsatz der eingestellten Haushaltsmittel.